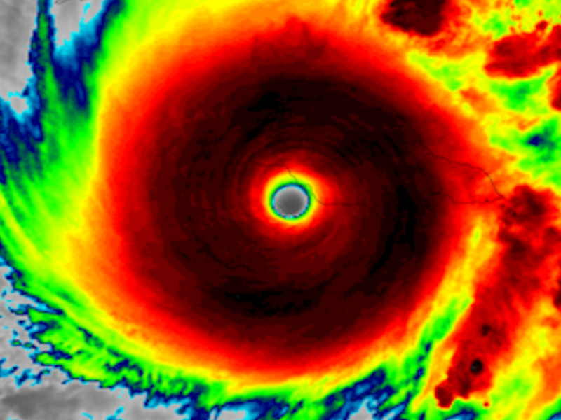
| EarthSky Posted on Tuesday October 28, 2025 Category 5 Hurricane Melissa made landfall in Jamaica today just after 1:00 p.m. EDT, carrying a threat of catastrophic winds, flash flooding and storm surge.
The post Melissa makes landfall in Jamaica as one of the strongest hurricanes on record first appeared on EarthSky. Continue Reading »Posted on Tuesday October 28, 2025 La Niña has developed and should stay in place through February. This will impact the winter weather outlook for the U.S., but it depends on your location.
The post U.S. winter weather outlook and how La Niña will factor in first appeared on EarthSky. Continue Reading »Posted on Tuesday October 28, 2025 Sun news October 28, 2025: Auroras are possible tonight as a glancing coronal mass ejection impact combines with fast solar winds.
The post Sun news: Auroral displays possible tonight first appeared on EarthSky. Continue Reading »Posted on Tuesday October 28, 2025 Visible planets and night sky guide. The star Fomalhaut is known for its solitude. But it won't be alone this year, as planet Saturn will keep it company.
The post Visible planets and night sky guide October and November first appeared on EarthSky. Continue Reading »Posted on Monday October 27, 2025 A team of scientists has discovered 6 bats that glow under ultraviolet light, but they don't know why. Here's why this is a mystery.
The post Bats that shine in the dark are nature’s Halloween surprise first appeared on EarthSky. Continue Reading »Posted on Sunday October 26, 2025 Enjoy these editor's picks of EarthSky community photos of Comet Lemmon (C/2025 A6). It's currently on its way toward closest approach to the sun.
The post Awe-inspiring Comet Lemmon photos from our community first appeared on EarthSky. Continue Reading »Posted on Sunday October 26, 2025 Astronomers using the James Webb Space Telescope said they've found evidence of a possible volcanic exomoon orbiting the hot Jupiter exoplanet WASP-39b.
The post New possible volcanic exomoon orbiting searing hot exoplanet first appeared on EarthSky. Continue Reading »Posted on Sunday October 26, 2025 Asteroid 2024 YR4 has a 4.3% chance of striking the moon in 2032. Watch a video with planetary defense scientist Andrew Rivkin and EarthSky's Deborah Byrd.
The post What are the chances of asteroid 2024 YR4 hitting the moon? first appeared on EarthSky. Continue Reading »Posted on Sunday October 26, 2025 This observing guide gives you a range of choices for seeing double stars with your eyes alone, with binoculars or with a telescope. And some are easy to find.
The post Double stars: How to find, observe and enjoy them first appeared on EarthSky. Continue Reading »Posted on Saturday October 25, 2025 Satellites in Earth orbit have been studying a weak spot in Earth's magnetic field, and they've found that it's growing weaker. Read more about it here.
The post Earth’s magnetic field has a weak spot that’s growing first appeared on EarthSky. Continue Reading »
 |